American Akita Resources
In-depth guides on American Akita health, breed knowledge, and responsible ownership. Written from 20-plus years of hands-on experience breeding, health testing, and placing champion American Akitas nationwide.
American Akitas
Placements
Guides Published
Clearance Types
American Akita Health: What the Data Shows
OFA Health Testing for American Akitas: What Every Buyer Must Know
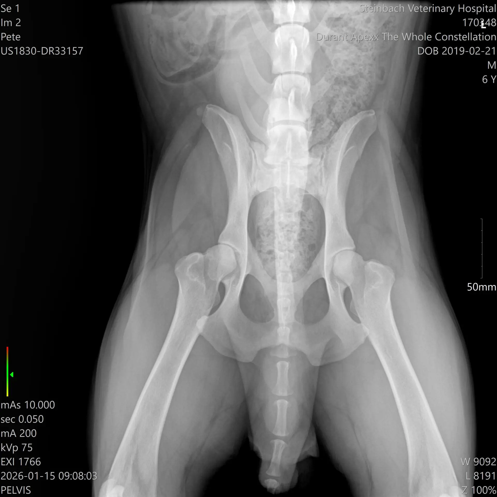
What OFA clearances actually mean, how to read the ratings, how to verify results on ofa.org, and the red flags that should end any breeder conversation. Includes Ash's actual January 2026 radiograph from Steinbach Veterinary Hospital.
Read the Guide7 Critical Health Problems in American Akitas: What Every Buyer Must Know Before Choosing a Puppy
Hip dysplasia, autoimmune disorders, bloat, VKH syndrome, and three more inherited conditions that define what responsible breeding must prevent.
Read GuideUnderstanding the American Akita: Breed, History & Temperament
American Akita vs Japanese Akita: Key Differences Every Buyer Must Understand
Two breeds, one name. History, appearance, temperament, health, and registry standards compared in full, with a clear framework for choosing the right type for your family.
Read Guide
Are Akitas Aggressive? The Truth About Akita Temperament and Behavior
What Akita behavior actually looks like, what drives it, and how responsible breeding shapes a stable trustworthy family companion versus a difficult one.
Read GuideLife With an American Akita: What Every Owner Must Know
Are Akitas Good Family Dogs? A Comprehensive Guide to Temperament, Children, and Responsible Breeding
An honest, experience-based assessment of Akita temperament with children, other pets, and family environments. Why the breeder you choose determines the dog you get.
Read GuideChoosing the Right Breeder: What Separates Ethical From Everyone Else
How Much Does an Akita Puppy Cost? What the Price Really Tells You About the Breeder
The real cost of responsible breeding broken down clearly. Why health-tested Akitas carry a higher price, and what low-cost listings tell you about what was skipped.
Read GuideHow to Find a Reputable American Akita Breeder
A complete buyer's checklist covering health testing verification, red flags, contract terms, and questions that separate ethical breeders from everyone else.
15 Questions to Ask an Akita Breeder Before You Buy
The exact questions to ask any breeder, with explanations of what good answers look like and which responses should end the conversation immediately.
Ready for an Apexx Akitas Puppy?
Every breeding dog carries full OFA clearances. Every puppy is placed with lifetime support. Applications are reviewed personally by Ron Durant.